Biden declara emergencia federal en Florida por Huracán

Internacional / Estados Unidos / Por: Staff NotiGape

Publicado: 01 de octubre, 2022 | 3:45 PM

Biden declara emergencia federal en Florida por Huracán

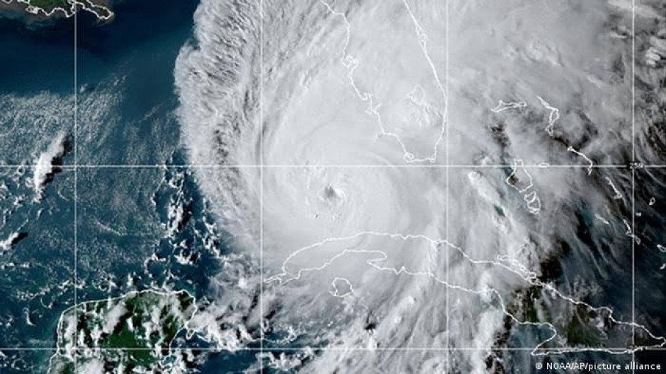
Debido a la cantidad de vidas y cosas materiales que ha cobrado el Huracán Ian, el presidente de los Estados Unidos, Joe Biden, declaró el estado de Florida en emergencia federal.

La acción del presidente autoriza al Departamento de Seguridad Nacional y a la Agencia Federal para la Gestión de Emergencias (FEMA), coordinar todos los esfuerzos de rescate en el estado con mayores fondos.

En su último boletín dedicado sobre Ian, el Centro Nacional de Huracanes (NHC) de EEUU informó que el ciclón postropical afectará también a Tennessee, Kentucky y West Virginia.

El reporte, aún no final, contabiliza 45 muertes en Florida por este fenómeno natural.

cardie