Harvey ya es huracán categoría 3

Valle de Texas / Valle de Texas / Por: Staff NotiGape

Publicado: 25 de agosto, 2017 | 2:33 PM

Harvey ya es huracán categoría 3

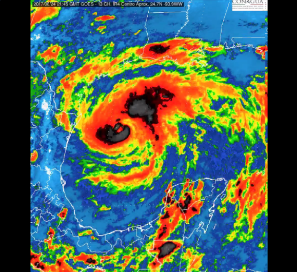
El Centro Nacional de Huracanes (NHC) de Estados Unidos, dio a conocer que el huracán Harvey se intensificó a categoría 3, sigue este viernes fortaleciéndose mientras se aproxima a la costa de Texas, esto con poderosos vientos sostenidos de 110 millas por hora y está a punto de convertirse en un huracán de categoría mayor.

Por lo que la (NHC) comentó que las bandas exteriores del huracán ya empiezan a sentirse en, anticipando inundaciones a lo largo de gran parte del sur de Texas.

En su último boletín, el NHC indicó que Harvey se ubicaba a unas 85 millas al sureste de Corpus Christi, ciudad con unos 325,000 habitantes en la costa central de Texas, y a 90 millas al sursureste de Port O'Connor, también en Texas.

Por su parte, a través de la página oficial de Twitter de Conagua (@conagua_clima) esta informó: "#Huracán #Harvey se ha intensificado a categoría 3”, junto con una imagen del GOES16.

Voz y Voto