Houston bajo el agua
Las peores inundaciones de la historia de Houston fueron provocadas por el huracán Harvey que ha dejado 60 centímetros de lluvia y se prevé que aumente al doble en los siguientes días.
Las peores inundaciones de la historia de Houston fueron provocadas por el huracán Harvey que ha dejado 60 centímetros de lluvia y se prevé que aumente al doble en los siguientes días.
Este lunes funcionarios federales anunciaron la amenaza de inundaciones catastróficas en el estado de Texas esto como resultado de la tormenta Harvey y pidieron la colaboración de la población para ayudar a los sobrevivientes.
Tras su paso por Rockfort ‘Harvey’ ya cobró la primera muerte de un civil, un poco más de 300 mil hogares sin luz y cientos de daños a edificaciones.
La Oficina del Sheriff del Condado de Fort Bend advirtió a la ciudadanía que tras las tormenta Harvey los caimanes buscarán un terreno más alto durante las inundaciones.
La ciudad costera de Rockport fue una de las más afectadas por el huracán Harvey, que tocó tierra como huracán de categoría 4 antes de rebajarse a categoría 1.
Esta noche alrededor de las 20:40 horas ‘Harvey’ uno de los huracanes más poderosos registrados después de 'Katrina' tocó por primera vez tierra en las costas de Texas, ante la llegada de éste, elementos de Protección Civil y autoridades optaron por evacuar la zona.
Al sureste de la costa de Texas, los civiles ya se encuentran evacuando el lugar ante la peligrosa llegada del huracán Harvey, mismas que ya se han ido a refugiar a San Antonio, Austin y otras comunidades al norte y centro del país.
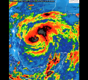
El Centro Nacional de Huracanes (NHC) de Estados Unidos, dio a conocer que el huracán Harvey se intensificó a categoría 3, sigue este viernes fortaleciéndose mientras se aproxima a la costa de Texas, esto con poderosos vientos sostenidos de 110 millas por hora y está a punto de convertirse en un huracán de categoría mayor.
Esperanza Zendejas, superintendente escolar Independiente de Brownsville dio a conocer que las escuelas estarán cerradas este viernes.
El huracán Harvey se intensificó temprano este viernes, convirtiéndose en uno de los fenómenos meteorológicos más grande en más de una década, que amenaza golpear a varias entidades de Estados Unidos a lo largo de la costa del Golfo de México.
El centro meteorológico de Miami, estados Unidos informó que a la llegada de Harvey a Texas, este provocará fuertes inundaciones, calificándolas como “devastadoras”, por ello la población estadounidense ha preparado las medidas pertinentes para resguardarse.
El juez del condado Cameron Eddie Treviño, Jr ha ordenado el cierre temporal de 5 playas a partir de este jueves 24 de agosto hasta nuevo aviso.
La costa de Texas, en la parte estadunidense del Golfo de México, se preparaba el jueves para la llegada de la tormenta tropical Harvey, que se espera provoque fuertes vientos, inundaciones y lluvias torrenciales en la zona.
Los oficiales correccionales de la Oficina del Sheriff, al ver a un hombre demasiado nervioso, cuando iba a ser revisado por el escáner corporal, se percataron de que trataba de introducir droga a la cárcel del Condado de Webb.
En la garita de la carretera interestatal 35, en Laredo, el indocumentado mexicano, Miguel Ruiz de 35 años, fue arrestado por agentes de la Patrulla Fronteriza, por un delito sexual grave en contra de un menor de 14 años, registrado en Long Beach, California.
Autoridades de la isla del Padre habilita un centro para distribuir bolsas y arena como método preventivo, esto ante la posibilidad de lluvia séveras.
Una mujer fue arrestada esto tras decomisarle una cantidad millonaria de droga que era transportada en su vehículo, así lo dio a conocer el departamento de Seguridad Pública de Texas (DPS).
Aseguran agentes de la Patrulla Fronteriza 50 kilogramos de metanfetaminas que era transportada en mochilas.
Dos personas pierden la vida tras un accidente de tráfico que se registro en Brownsville.
60 migrantes provenientes de México, Guatemala, El Salvador y Honduras, fueron rescatados por agentes adscritos a la Oficina de Aduanas y Protección Fronteriza debido a que se encontraban al interior del remolque de un tráiler que circulaba en un cruce fronterizo en Texas.
En la ciudad de San Antoni, Texas, un grupo de civiles desconocidos distribuyo de forma anónima anuncios de que se le dará una recompensa de 100 dólares a todo aquel que denuncie a un extranjero indocumentado, los cuales supuestamente venían sellados por la Oficina de Inmigración y Aduanas (ICE por sus siglas en ingles) y además portaban el logotipo de “Crime Stoppers”.
Un aparatoso accidente de dos vehículos, se registró la autopista 83 a la altura de la salida al bulevar Bass de camino hacia Harlingen.
Este jueves un residente del Valle del Rio Grande recibió su fecha de ejecución luego de haber sido encontrado culpable hace 20 años por el asesinato y la violación de su prima.
Un hombre perdió la vida al caer el vehículo en el que viajaba sobre un canal de riego por el bulevar Boca Chica en la ciudad de Brownsville.